Sherien Hamdy🌷
Sherien Hamdy🌷

@eng_sherien

17 تغريدة 63 قراءة Sep 23, 2023
«الجميلة النائمة» الملاك النائم أيقونة الجمال والبراءة منذ أكثر من قرن ترقد «روزاليا لومباردو»في أعماق سراديب الموتى في الكبوشيين في باليرمو بصقلية "إيطاليا"
مومياء فتاة صغيرة تحت التابوت مغطاة بالزجاج على قاعدة خشبية وكأنها تغفو كطفل يأخذ قيلولة بسلام😴 👇
1-لكن الزوار الذين يأتون لرؤيتها يقسمون أن الفتاة الصغيرة ترمش بعينيها وتغمز لهم 😉وعيونها الزرقاء سليمة فما هى حكاية روزاليا؟
«روزاليا لومباردو» واحدة من آخر ثمانية آلاف مومياء تم إدخالها إلى سراديب الموتى(حكينا عنها في سرد سابق)طفلة إيطالية ولدت في 13ديسمبر عام 1918 👇
2-بسبب التهاب رئوي نتيجة الإنفلونزا الاسبانية توفيت روزاليا بشكل مأساوي عن عمر عامين في 6ديسمبر1920😪 وقد ترك موتها المبكر والدها«ماريو لومباردو» حزينًا جدًا لدرجة أنه اقترب من المحنط صديقه الطبيب الشهير«ألفريدو سالافيا» وطلب منه تحنيط جثة الصغيرة روزاليا للحفاظ عليها 👇
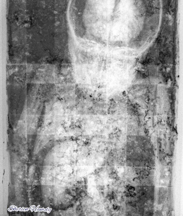
3-بالفعل أجرى"ألفريدو سالافيا" المحنط الماهر عملية ممتازة بتحنيط جثة"روزاليا لومباردو"بمهارة رائعة وحافظ على الجسد بشكل مذهل ليبقى سليمًا حتى أن أعضائها الداخلية ظلت سليمة كما كشفت الأشعة السينية مؤخرا 👇
4-لقد مر أكثر من قرن من الزمان على وفاتها لكن جثتها لا تزال تبدو وكأن الفتاة الصغيرة تغفو تحت التابوت الزجاجي لتكتسب«روزاليا لومباردو»سمعة كونها واحدة من أفضل المومياوات المحفوظة في العالم وعلى الرغم من وضع بطانية فوق التابوت إلا أن وجهها مرئي خدودها الصغيرة منتفخة قاسية 👇
5-تم تجميع خصلات من شعرها الأشقر المجعد بشريط من الحرير فوق رأسها مما يجعلها تبدو وكأنها نائمة للدرجة التي أطلق عليها لقب "الجمال النائم"أو"الجميلة النائمة"ولازال الجميع يعتقدون أن الفتاة ستستيقظ في أي لحظة لا يزال جلد روزاليا يبدو ناعمًا للغاية كما لو كان مصنوعًا من البورسلين 👇
6-وجسدها المحفوظ تمامًا ليس إلاجزء من عامل جذب فالزوار الذين يأتون لرؤيتها يقسمون أن الفتاة الصغيرة ترمش بعينيها 😉حيث لاحظ الناس أن جفونها تتحرك ويبدو أنها تغمز وتنفتح العينان قليلاً وتكشفان عن قزحية العين الزرقاء السليمة تلك النظرة جذبت المتفرجين إلى باليرمو لمائة عام 👇
7-بالفعل يُظهر تسلسل الصور جفونها وهي تفتح وتغلق بشكل مخيف وعيناها الزرقاوان سليمتان مثل بقية الجسم تحت دير كابشين لتجذب جثة روزاليا انتباه الجميع فيأتى الآلاف من الزوار من جميع أنحاء العالم لرؤية الفتاة مفتونين بالتقارير العديدة التي تفيد بأن عيون الجثة الميتة تومض وتفتحان ببطء
8-عام 2009 تم إجراء فحص بالرنين المغناطيسي للفتاة الصغيرة لمعرفة حالة الحفظ الداخلي للجسم وكشفت أول صورة ثلاثية الأبعاد لروزاليا أن جميع أعضاء جسدها سليمة تمامًا بعد كل هذه السنين وعينيها الزرقاوين اللامعين تظهران سليمتان أيضًا تحت الرموش الشقراء 👇
9-العديد من الصور المتتابعة تؤكد أن جفونها تفتح وتغلق قليلاً فأصبح لغزالمومياء مشهورا في العالم كان الناس فضوليين لمعرفة السبب واعتقد البعض أن هناك قوة خارقة للطبيعة والبعض أفاد أن ذلك بسبب تغير درجة الحرارة داخل سراديب الموتى مما جعل جفونها تنقبض وبالتالي ينتج تأثير يشبه الغمز👇
10-لكن «داريو بيومبينو ماسكالي»أمين سراديب الموتى الكبوشية عالم الأنثروبولوجيا الإيطالي لديه نظرية جديدة تنهى الأساطير حول روزاليا لومباردو وهى ان عيون روزاليا الوامضة مجرد خداع بصري يحدث عندما يضرب الضوء من النوافذ عينيها من زوايا مختلفة 👇
11-الإتجاه المتغير للضوء خلال النهار يجعل عيون روزاليا الوامضة يبدو كانها تفتح وتغلق عدة مرات طوال اليوم وتوصل ماسكالي لهذا الاكتشاف عام 2009 عندما لاحظ أن العاملين في المتحف قاموا بتحريك نعشها مما أدى لتحرك جسدها قليلا مما سمح له برؤية جفنيها بشكل أفضل 👇
12-وأدرك أن عيون روزاليا ليست مغلقة تمامًا ولم تكن كذلك أبدًا.
لم يحل ماسكالي لغز وميض العين فقط اكتشافه الحقيقي كان هو الصيغة السرية وطريقة التحنيط التي استخدمها" ألفريدو سلفيا"للحفاظ على جسد روزاليا في مثل هذه الحالة الخالية من العيوب 👇
13-فقد توفي المحنط الصقلي الدكتور سلفيا الإيطالى عام 1933ولم يكشف عن طريقة التحنيط لكنه كتب الصيغة السرية للحفظ وتعقب ماسكالي أقاربه الأحياء حتى وصل لهم ووجد معهم سجلات جدهم حيث سجل فى مذكرات مكتوبة بخط يده بها وثيقة سجل فيها الرجل جميع المواد الكميائية التي حقنها في جسد روزاليا.
14-تشمل إجراءات التحنيط النموذجية الإزالة الكاملة للأعضاء الداخلية ثم يُملأ التجاويف الفارغة بأملاح النطرون لتجفيف الجسم بالكامل وهي الطريقة المصرية القديمة في التحنيط لكن ألفريدو قام بعمل ثقب صغير في جسد الطفلة وقام بحقن خلطة من أملاح الزنك والفورمالين والجلسرين وحمض السالساليك
15-يؤدي كل عنصر في الخليط وظيفة فريدة من نوعها قتل الفورمالين جميع البكتيريا وضمن الجلسرين عدم جفاف جسدها وقضى حمض الساليسيليك على أي فطريات في الجسد كان العنصر السحري هو أملاح الزنك التي تحجرت جسد روزاليا وأعطته الصلابة ومنعت خديها وتجويف أنفها من الإنهيار👇
جسد روزاليا محفوظ الآن بتابوت زجاجي جديد مصمم لمنع نمو الفطريات أو البكتيريا وتحمي العلبة الزجاجية الجسم من أى تأثير للضوء في متحف باليرمو بايطاليا فى معبد سراديب الموتى وهي عبارة عن مقبرة لعظام الموتي تحت الأرض تضم رفات ما تقرب من 6 ملايين شخص يطلق عليها أكبر مقبرة في العالم.

جاري تحميل الاقتراحات...