خالد الجهوري⁦ Khalid Aljahwari
خالد الجهوري⁦ Khalid Aljahwari

@k_k_Aljahwari

11 تغريدة 197 قراءة May 08, 2021
1️⃣دخلنا في الموسم الأول لتشكل العواصف والأعاصير المدارية شمال المحيط الهندي، وبدأت نماذج التنبؤات تشير إلى إحتمال تشكل حالة مدارية جنوب شرق #بحر_العرب مع منتصف هذا الشهر، لكن من المبكر حالياً الحديث حول الشدة او الوجهة المتوقعة.
أضع هنا سلسلة تغريدات تثقيفية عن الحالات المدارية⬇️
2️⃣تتكون الأعاصير والعواصف المدارية في مياه المحيطات الدافئة في المناطق المدارية ما بين خطي عرض ٥ و ٢٠ شمال و جنوب خط الاستواء، وتصنف حسب سرعة الرياح السطحية حول المركز، حيث يصل التصنيف إلى عاصفة مدارية حين تصل سرعة الرياح السطحية حول المركز ٣٤ عقدة على الأقل ويتم تسميتها.
3️⃣يصل التصنيف إلى إعصار مداري إذا بلغت سرعة الرياح السطحية حول المركز ٦٤ عقدة على الأقل، وتصنف الأعاصير المدارية إلى خمس درجات حسب مقياس سافير سيمبسون لتصنيف الأعاصير بناءاً على شدة الرياح المصاحبة للإعصار.
4️⃣تعتبر الدرجة الخامسة هي الأخطر على الإطلاق على مقياس سافير سيمبسون، وقد وصل إعصار #جونو في يونيو عام ٢٠٠٧م إلى هذا إلى هذا المستوى وسط بحر العرب في طريقه إلى سواحل السلطنة.
6️⃣تشير الإحصائيات إلى رصد حوالي ٨٠ إلى ٩٠ عاصفة مدارية سنوياً حول العالم يصل أكثر من نصفها (٥٦٪) إلى مستوى إعصار مداري، وتعتبر نسبة الحالات المدارية التي تتكون في شمال المحيط الهندي (بحر العرب وخليج البنجال) الأقل حيث تمثل ٦٪ فقط من المجموع الكلي عالمياً.
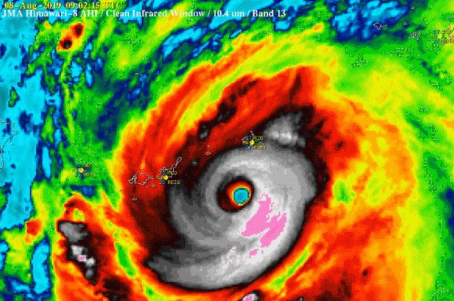
7️⃣ قطر الإعصار المداري يتراوح غالبا بين ٢٠٠ إلى ٥٠٠ كم وقد يصل إلى ١٠٠٠ كم، و يتميز مركزه بتواجد ما يسمى عين الإعصار، وهي منطقة خالية من السحب يتراوح قطرها من ٨ إلى ٨٠ كم، وتكون الرياح فيها ساكنة.
8️⃣قد ينخدع البعض بهدوء الأجواء داخل العين فيظنوا أن الخطر قد انتهى قبل أن تداهمهم الموجة الثانية من تأثيرات الإعصار.
الحلقة الدائرية المحيطة بعين الإعصار تسمى جدار الإعصار أو جدار العين eye wall وهي أخطر جزء في تركيب الإعصار حيث تبلغ فيه شدة الرياح وكميات الأمطار ذروتها.
9️⃣هناك موسمان لتشكل الحالات المدارية في #بحر_العرب أولها خلال شهري مايو ويونيو ويسمى Pre-monsoon season أي الموسم الذي يسبق نشاط الرياح الموسمية الصيفية والموسم الثاني خلال شهري أكتوبر ونوفمبر ويسمى Post-monsoon season أي الموسم الذي يعقب انتهاء نشاط الرياح الموسمية الصيفية.
أكتفي بهذا القدر الليلة ولي عودة لتكملة السلسلة لاحقا، أتمنى أن تنال إعجابكم..
🔟بالإضافة إلى كميات الأمطار الهائلة والرياح العاتية التي تصاحب الحالات المدارية، يعتبر تعاظم الأمواج storm surge أحد أهم المخاطر المصاحبة للعواصف والأعاصير المدارية، حيث تؤدي الرياح العاتية إلى ارتفاع الأمواج وغمرها للمناطق الساحلية، ولذلك يتم عادة إجلاء سكان المناطق الساحلية.
1️⃣1️⃣يمكن لتعاظم الأمواج أن يسبب أضرار كثيرة حتى مع بقاء مركز الإعصار بعيداً عن السواحل كما حدث مع إعصار فايو في يونيو ٢٠١٩ حيث تسبب بأضرار كبيرة لقوارب الصيد وسكان المناطق الساحلية المنخفضة ودخلت مياه البحر بعض المنازل رغم أن مركز الإعصار كان يبعد أكثر من ٧٠٠ كم عن سواحل السلطنة

جاري تحميل الاقتراحات...