عالم الحشرات M. Stick_insect
عالم الحشرات M. Stick_insect

@MohammedStick

7 تغريدة 27 قراءة Sep 24, 2020
هذه ليست نملة 🐜
بل هي دبور بلا أجنحة 🐝‼️
دبابير Giles
تعتبر من الدبابير الطفيلية
Ichneumonoidea wasp
و معظمها عديمة الأجنحة و صغيرة الحجم ، فتبدو كأنها نملة
تطفل على شارانق (الفراشات و العث) ، و بعضها على العناكب ، و يرقات و شرانق الذباب
---
الصور إنثى دبور
Glies agilis
هذه أنثى دبور حجمها ٥ ملم
قام باحث بإلتقاط لها صورة و حسبها مجرد نملة على جذع شجرة صنوبر
و لكنه أدرك فيما بعد إنها دبور
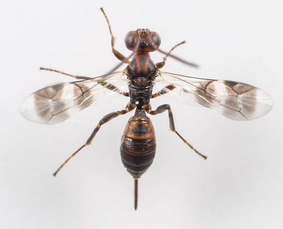
صورة لنوع أخر يمتلك إبرة طويلة لوضع البيض
ما تفسير عدم وجود الأجنحة ؟
يعقتد علماء الحشرات إنها متكيفة مع طبيعة بيئتها فلا تحتاج إلى الأجنحة ، كما هو الحال مع النمل
حيث تظهر الأجنحة للملكة لموسم التزاوج ثم تصبح عديمة الفائدة ، ثم تتخلص من الأجنحة ، لأن الطيران يستنزف مزيدا من الطاقة
أما إذا علمت بإن هذه الدبابير الغير مجنحة تعيش في الأماكن الباردة ، لذلك ستحتاج لهذه الطاقة
(( 😅 بطبع هذا تفسير ما قرأته ))
كما يوجد شح بالمعلومات بما يتعلق عن هذه الدبابير
----
خارطة إنتشار دبور
Gelis Thunberg
أما هذه إنثى دبور تمتلك أجنحة
Gelis tenellus

جاري تحميل الاقتراحات...